Heinola 250- tonttikampanja 29.3.-31.5.2026
Kun Heinolassa on aihetta juhlaan, silloin juhlitaan. Kuulostaa yksinkertaiselta, mutta unohtuu liian helposti eteenpäin paahdettaessa. Heinolan kaupunki juhlistaa 250-vuotisjuhlaansa muun muassa tonttikampanjalla, jossa valitut tontit maksavat 2 500 euroa per tontti.
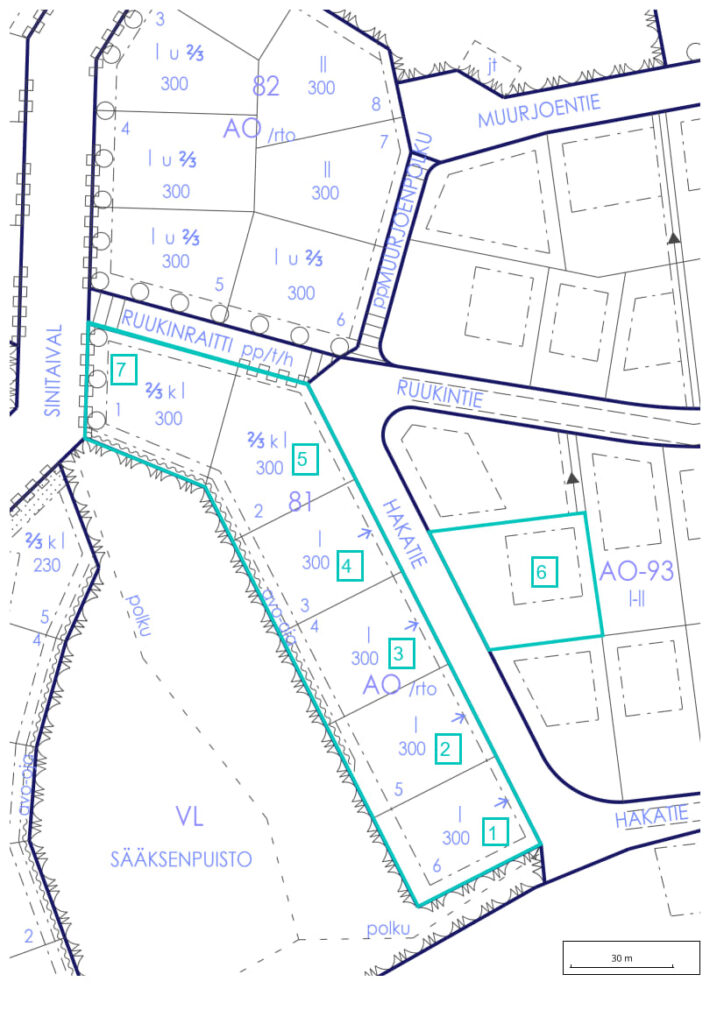
Kampanjan tontit sijaitsevat Sinilähteen alueella, lähellä Sinilähde-taloa, jossa toimii alueen päiväkoti ja alakoulu. Kampanjassa on yhteensä seitsemän tonttia, jotka sijoittuvat Hakatien ja Ruukinraitin varrelle.

Tonttikampanjan säännöt ja ehdot
Tontit ovat varattavissa ainoastaan Heinolan kaupungin sähköisessä tonttivarauspalvelussa ajalla 29.3.2026 klo 15:00 -31.5.2026 klo 15:00. Kun tontti on varattu, tontti poistuu järjestelmästä automaattisesti. Jos kaikki tontit varataan ennen 31.5.2026, kampanja päättyy aikaisemmin.
Kampanjaan voivat osallistua vain uudet varaajat, joilla ei ole voimassa olevaa tontinvarausta Heinolan kaupungin kanssa.
Kampanja koskee ainoastaan alla olevia tontteja, tontteja ei voi vuokrata.
Kampanjatontin varaaminen on sitova, tontin voi varata 6 kuukauden ajaksi maksutta, jonka jälkeen tontti tulee lunastaa (ostaa) omaksi. Ostaja maksaa kaupanvahvistajan palkkion. Mikäli ostaja perääntyy tontin lunastamisesta, perimme sopimussakkoa 2 500 €.
Kampanjatonttia ei saa myydä tai luovuttaa rakentamattomana eteenpäin ilman kaupungin lupaa.
Rakennuksen käyttöönottotarkastuksen tulee olla pidetty 31.12.2028 mennessä. Mikäli käyttöönottotarkastusta ei olla pidetty 31.12.2028 mennessä, ostaja sitoutuu maksamaan sopimussakkoa rakennusvelvoitteesta 10 000 €.
Lisätietoja kampanjatonteista löytyy alla olevasta taulukosta:
| Osoite: | Pinta-ala: | Rakennusoikeus: | Kaavamääräys: | Hinta: |
| 1. Hakatie 25 | 1 152 m² | 300 m² | I | 2 500 € |
| 2. Hakatie 27 | 1 200 m² | 300 m² | I | 2 500 € |
| 3. Hakatie 29 | 1 200 m² | 300 m² | I | 2 500 € |
| 4. Hakatie 31 | 1 200 m² | 300 m² | I | 2 500 € |
| 5. Hakatie 33 | 1 348 m² | 300 m² | 2/3k I | 2 500 € |
| 6. Hakatie 40 | 1 422 m² | 250 m² | I-II | 2 500 € |
| 7. Ruukinraitti 3 | 1 411 m² | 300 m² | 2/3k I | 2 500 € |


Heinola 250 Plot Campaign 29 March–31 May 2026
When there’s a reason to celebrate in Heinola, we do it properly. It sounds simple, but it is far too easy to forget when we’re constantly rushing forward. To celebrate its 250th anniversary, the City of Heinola is launching a special plot campaign, offering selected residential lots for just €2,500 each. The campaign plots are located in the Sinilähde area, close to the Sinilähde building, which houses the local daycare centre and primary school. There are seven plots in total available through the campaign, situated along the streets of Hakatie ja Ruukinraitti.
Term and Conditions of the Plot Campaign:
The plots can only be reserved through the City of Heinola’s online reservation service between March 29, 2026, at 3:00 PM and May 31, 2026 at 3:00 PM. Once a plot has been reserved, it will automatically be removed from the system. If all plots are reserved before May 31, 2026, the campaign will conclude early.
The campaign is open only to new applicants who do not have an existing plot reservation with the City Of Heinola. The campaign applies exclusively to the plots listed below; these plots cannot be leased. Reserving a campaign plot is binding. A plot ca be reserved free of charge for 6 months, after which it must be purchased. The buyer is responsible for the notary public’s fee. If the buyer withdraws from the purchase after the reservation period, a contractual penalty of €2,500 will be charged. A campaign plot may not be sold or transferred as an unbuilt lot to a third party without the city’s permission. The building’s occupancy inspection (commissioning inspection) must be completed by December 31,2028. If the inspection has not been conducted by this date, the buyer agrees to pay a contractual penalty of €10,000 for failure to meet the construction obligation.

Tontin varaukseen
Asemakaavat
Lisätietoja
-
Hanna Uimonen
Kiinteistösihteeri
+358447975736
Hanna.Uimonen@heinola.fi
